Normal vs Cancer Cells

Telah dilihat sebanyak 1,599 kali
8.0
Terima kasih, suaramu telah dicatat dan akan segera muncul.
Ya
Tidak
Ditambahkan ke penanda profil Anda.
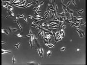
Deskripsi video:

NCI B-roll: Black and white footage of normal and cancer cells. This segment depicts cell growth, with the first segment displaying normal cells, the second segment (1:20) displaying cancer cells and the third segment (2:38) showing both normal and cancer cells. Differences in ruffling (changes in the cell membrane) and movement are emphasized.This video has no audio.

Tertambah 24 Mei 2016
Komentar